Building lot w/Black River Frontage
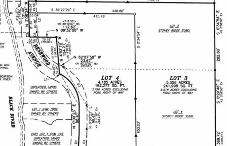
Clark County, Wisconsin – Land For Sale | Available is this 4.185 acre surveyed lot (Lot 4) with the Black River frontage just up river from Lake Arbutus. Access to the lake would be by canoe or kayak. Enjoy this beautiful lot by building your dream getaway! The Black River offers great fishing opportunities and this property is located minutes from Hatfield, Bruce Mound winter recreational area, Levis Mound walking and Mtn. biking trails and ATV accessible to the local and state trails. Also available to purchase is, Lot 3 (5.556 acres) and the Lots 1 & 2 with an updated 2bd-1bth home will all the comforts of home. Call today for more information!
PROPERTY
130′ of frontage on the Black River
Canoing & Kayak the Black River
Located on Atv Access trail
DISTANCES
15 minutes to Neillsville & Black River Falls Wisconsin
2.5 hrs to Madison, WI and Minneapolis, MN
3 hrs to Green Bay and Fox River Valley in Wisconsin
OTHER
From Neillsville approx. 9.5 miles south on Hwy. 95 to Resewood Ave left on Resewood about 1 mile on left..From Black River Falls Hwy 12/27 N to Merrillan take Hwy 95 N to just past Black River bridge take right on Resewood to property, sign on site.
Fill out the form below to leave a message for the Land Professional on this listing. We appreciate your interest and will get back to you as soon as possible.


























